Property Description
Spacious Titled Lot for Sale Near Bocas Town, Isla Colón – Prime Location with Investment Potential
Looking for an ideal place to build your tropical dream home or boutique project? This titled land for sale in Bocas del Toro is one of the best values currently available on Isla Colón real estate — offering privacy, space, and unbeatable proximity to beaches and town amenities.
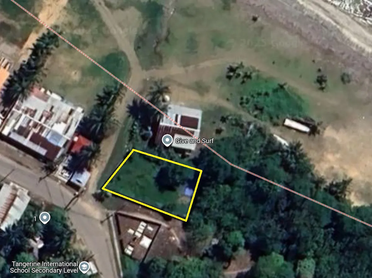
Located just minutes outside of Bocas Town, this rare 600 m² titled lot provides the perfect mix of seclusion and convenience. You’ll enjoy a quiet, residential setting within walking distance of the beach and just a stone’s throw from the Tangerine International School, restaurants, shops, and grocery stores. Whether you’re planning to move to Bocas del Toro, raise a family, or develop an income property, this location supports a variety of lifestyle and investment goals.
Unlike standard in-town parcels, this spacious Isla Colón lot gives you ample room to bring your vision to life. Dreaming of a lush garden sanctuary? A vacation home in Bocas del Toro? A private villa with space for a pool and outdoor living? Or perhaps a small commercial venture like a café, office, or mixed-use space? With its flat terrain and secure boundaries, this lot is a true blank canvas.
The lot is fully enclosed with a solid cement wall, offering added privacy, security, and peace of mind — a feature not commonly found in similar listings. The flat, build-ready land minimizes construction costs and complexity, giving you a head start on realizing your plans.
This is one of only a few titled properties in Bocas del Toro this close to town with this much space, making it a high-demand option for both local and international buyers. The location also offers excellent potential for Bocas del Toro investment property development due to the growing demand for Bocas del Toro expat housing, retirement homes, and family residences near the beach and international schools.
With a strong appreciation outlook and flexibility in use, this titled lot near Bocas Town is more than just land — it’s an opportunity to plant roots, create income, or retire in a peaceful, yet connected community.
Don’t miss this outstanding opportunity to own prime Caribbean property at an affordable price. Contact United Country Bocas del Toro today for more information or to schedule a showing.
Amplio Terreno Titulado Cerca de Bocas Town – Ubicación Privilegiada y Gran Potencial
¡Una de las mejores ofertas del mercado actual! Este terreno titulado de 600 m² en Isla Colón es una oportunidad imperdible para quienes desean invertir, construir o vivir en el paraíso.
Ubicado a solo minutos de Bocas Town, este lote ofrece la combinación ideal de espacio, privacidad y cercanía a todos los servicios. Está a poca distancia de la playa, cerca del Tangerine International School, supermercados, restaurantes y comercios locales. Perfecto para familias, jubilados o inversionistas que buscan desarrollar una propiedad en una zona de alta demanda.
A diferencia de los lotes urbanos más pequeños, este terreno amplio en Isla Colón te brinda libertad para diseñar lo que imaginas: una residencia privada con jardín tropical, una casa vacacional tipo boutique o incluso un proyecto comercial pequeño. Gracias a su terreno plano, es fácil y económico construir aquí.
El lote está completamente cercado con un muro de cemento sólido, lo que proporciona mayor seguridad y privacidad — un valor agregado poco común en terrenos de este tamaño y ubicación. Además, estar tan cerca de la playa y de una escuela internacional lo hace ideal para viviendas familiares, viviendas para expatriados, o proyectos de alquiler en Bocas del Toro.
La tierra está titulado, lo que brinda seguridad jurídica y facilita el proceso de compra. Con el crecimiento constante de la demanda en la región, especialmente en zonas cercanas a Bocas Town, este terreno representa una inversión inteligente en bienes raíces en Bocas del Toro.
Ya sea que quieras construir tu hogar soñado, una propiedad para alquiler vacacional o un espacio comercial, este lote ofrece una base sólida y estratégica para tu proyecto.
No dejes pasar esta oportunidad de adquirir un terreno bien ubicado, con buen tamaño y totalmente titulado en una de las zonas con mayor crecimiento de Isla Colón. ¡Llámanos hoy para más información o para agendar una visita!
PROPERTY HIGHLIGHTS:
| Titled Land for Sale | Steps from Ismito Beach | Walk to beach & town | Investment & Income | Owner Financing |
| Good Investment Opportunity | Ready to Build on | Flat terrain for building | International | |
| Next to Tangerine Int. School | 600 m² titled lot | Coastal Property | Land for Sale |













