Property Description
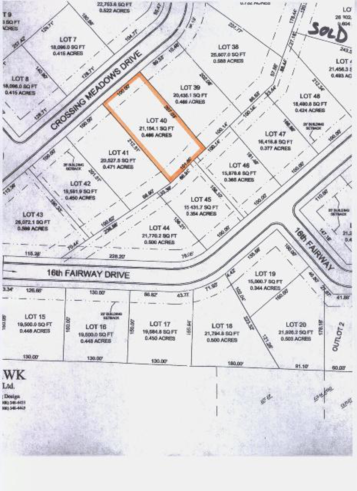
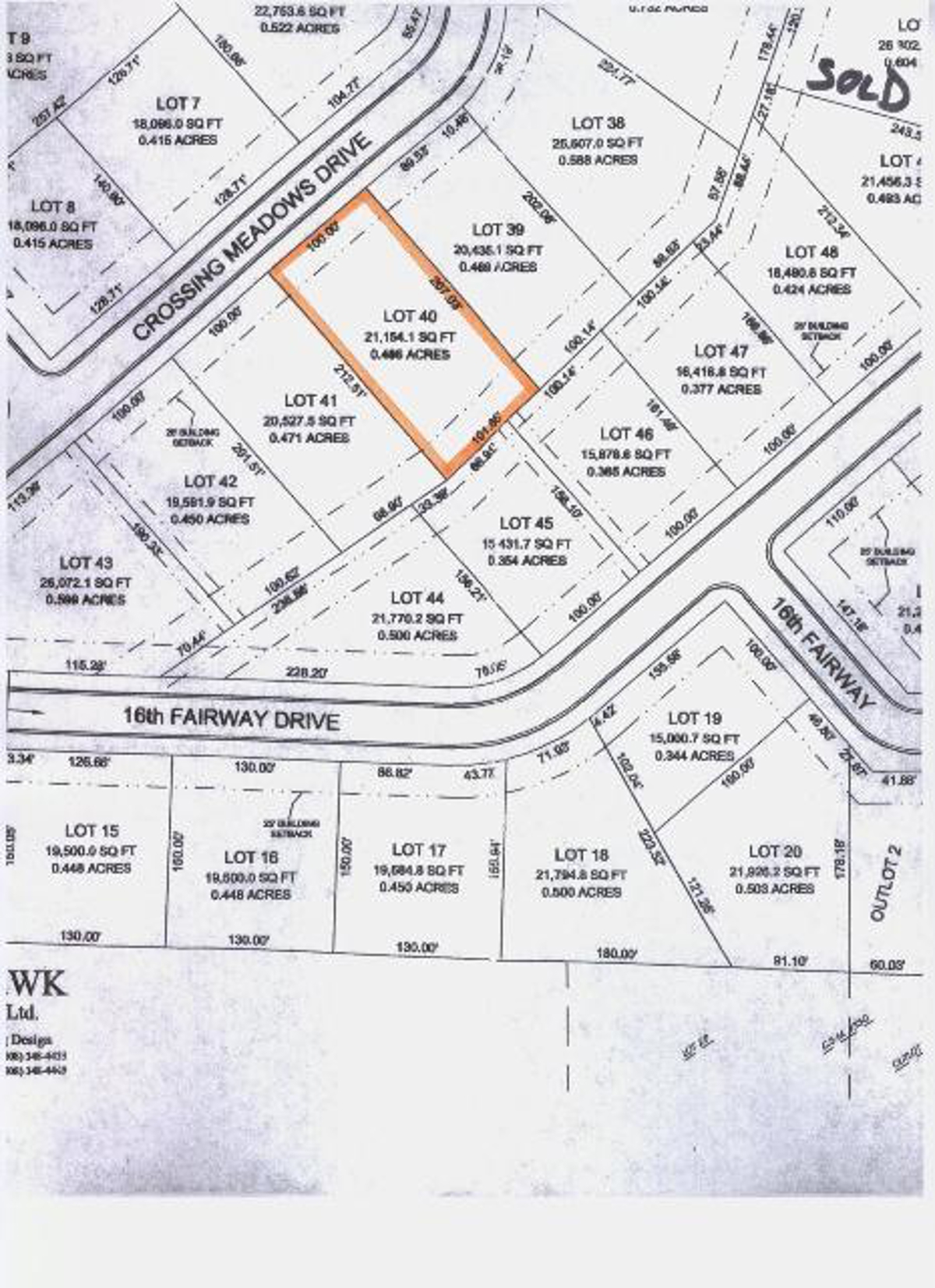
LOT 40 IS SITUATED THAT A NEW OWNER PLANNING TO BUILD A NEW HOME COULD CONSIDER A WALKOUT LOWER LEVEL IN THE BACK YARD AND A LEVEL DRIVEWAY WITH ZERO ENTRY COMING OFF OF CROSSING MEADOWS DR. CROSSING MEADOWS SUBDIVISION IS VIROQUA’S MOST COMPLETE SUBDIVISION OFFERING MUNICIPAL SEWER AND WATER, PAVED STREETS, CURB AND GUTTER, COUNTRY FEEL AND VIEWS, AND YET CLOSE TO DOWNTOWN. EACH LOT HAS GOLF CART ACCESS TO VIROQUA HILLS GOLF COURSE. PROTECTIVE COVENANTS APPLY TO PROTECT YOUR INVESTMENT.(THERE ARE ”NO” HOA FEES).
PROPERTY FEATURES:
| .49 Acres | Building Lot For New Home | Land for Sale | ||
| Country Feel City Amenities | Walk-Out Basement Potential | |||
| Golf Course Access | Golf Property |
Property Id: 57779
Price: $ 46,000
Property Lot Size: 0.49 ac
County: Vernon County
Lot Size (AC): 0.49000
Year Built: N/A
Listing ID: 48102-161137
Office ID: 3066
Listing Address: Lot 40 Crossing Meaadows Dr, Viroqua, Wisconsin 54665
Other Features
Appliance
Basement
Central Air
Community Activities
Cul de Sac
Deck
Fence
Finished Basement
Fireplace
Gated
Gym/Fitness Center
Hospital
Large Kitchen
Outbuildings
Park
Parking
Patio
Pool
Restaurants/Shopping
Room
School
Security System
Sewer
Sprinkler System
Storage
Storm Shelter/Cellar
Tennis Court
View
Water Access
Dan Kiedinger
Oakwood Realty LLC - Oakwood Realty LLC
Call Office(608) 637-8288
Call Mobile(608) 606-5344
Contact Me
Similar Listings
Lot #42 – 0.45 Acres Golf Course Access For Sale
$ 45,900
This lot is located in Crossing Meadows Subdivision - Viroquas newest and most complete subdivision and comes with city sewer and water, electric, natural gas, cable and telephone. The stree ...
0.45 acdetails
Lot #41 .471 Acres Golf Course Access For Sale
$ 49,900
This lot is located in Crossing Meadows Subdivision - Viroquas newest and most complete subdivision and comes with city sewer and water, electric, natural gas, cable and telephone. The stree ...
0.47 acdetails
For Sale – Lot #31 .559 Acres Adjoins Golf Course
$ 48,900
Connecting directly to the driving range of Viroqua Hills golf course, this lot is located in Crossing Meadows Subdivision - Viroquas newest and most complete subdivision and comes with city ...
0.56 acdetails
For Sale – Lot #30 .453 Acres Adjoins Golf Course
$ 49,900
Connecting directly to the Viroqua Hills golf course, this lot is located in Crossing Meadows Subdivision - Viroquas newest and most complete subdivision and comes with city sewer and water, ...
0.45 acdetails















