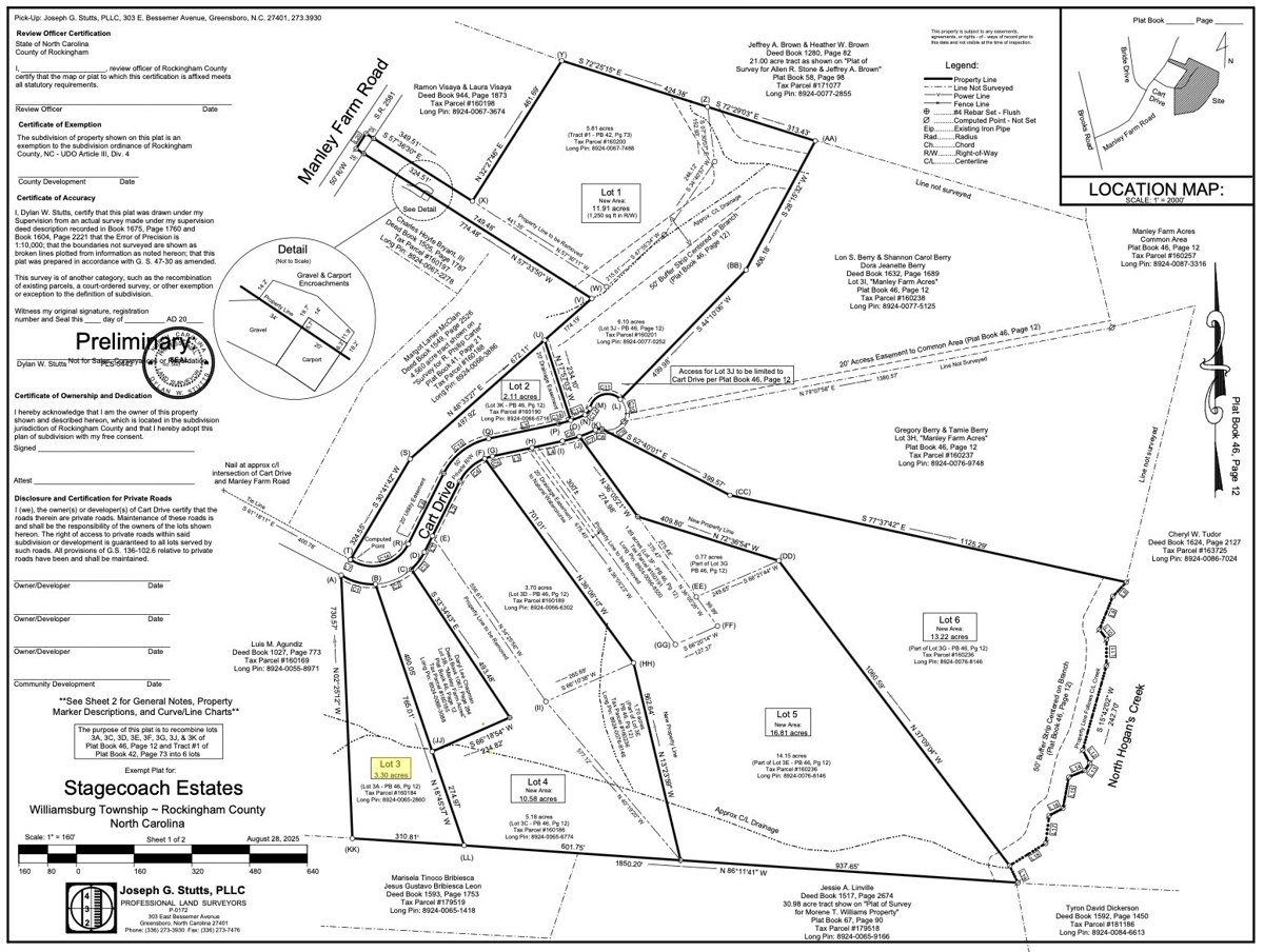
Property Description
3.3 acres of buildable,
wooded land for sale in Reidsville, NC! This Rockingham County property offers
a small creek near the center, mature hardwood timber for privacy, and cut
access trails for easy movement and development. The lot is wooded with a mixed
stand of hardwoods and is ideal for a private homesite, recreational retreat,
or investment opportunity.
This property—and all lots in this
auction—comes perked, professionally surveyed, and supplied with soil report,
survey, and disclosures in the attachments. Seller financing is available as
well, providing flexible options for buyers looking to own country land in
North Carolina.
Perfect for buyers searching for:
- Wooded acreage with creek access in Reidsville, NC
- Buildable land for homes or recreation in Rockingham
County - Land for sale with trails, timber, and seller financing
- Properties with full documentation, including soil
reports and surveys
Don’t wait—demand for buildable,
documented land in North Carolina’s countryside is strong.
PROPERTY HIGHLIGHTS:
| Plentiful Wildlife, Deer, ETC | Land For Sale In Reidsville NC | 3.3 Acres For Sale | Land for Sale | |
| Acreage For Sale In NC | Seller Financing Available | No Restrictions | Owner Financing | |
| Cleared Homesite With Privacy | Matthew Peachey 704-433-2395 | Hunting | Timberland Property |













