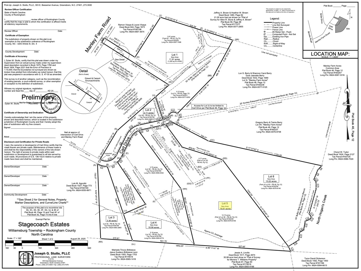
Property Description
16.81 acres of prime, buildable country land for sale at auction in Reidsville,
NC! This fantastic Rockingham County property features a scenic creek near the
rear boundary, a small open field perfect for your homesite or hobby project,
and a great mixed hardwood timber stand for privacy and wildlife. Access trails
are already cut, making it easy to explore your property or start building
right away.
Benefit from seller financing
options to make ownership accessible for all qualified buyers. This lot has
been perked, professionally surveyed, and all key documents—including the soil
report, survey, and property disclosures—are available in the attachments for
your review.
Ideal for buyers searching for:
- Large buildable acreage with a creek in North Carolina
- Cleared field and wooded land for homes or recreation
- Country lots with seller financing options in
Rockingham County - Land for sale with soil reports and surveys in
Reidsville, NC
Don’t miss this chance to secure excellent
North Carolina land perfect for a home, weekend retreat, or investment.
PROPERTY HIGHLIGHTS:
| Plentiful Wildlife, Deer, ETC | Land For Sale In Reidsville NC | 16.81 Acres For Sale | Land for Sale | |
| Acreage For Sale NC | Seller Financing Available | No Restrictions | Owner Financing | |
| Cleared Homesite With Privacy | Matthew Peachey 704-433-2395 | Hunting | Timberland Property |
















