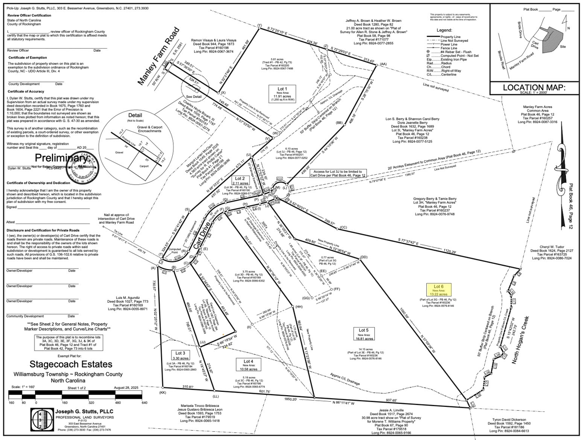
Property Description
13.22 acres of buildable land for sale in Reidsville, NC—an exceptional
opportunity for buyers seeking privacy, nature, and investment value! This
large Rockingham County property features a scenic creek near the back, freshly
cut access trails, a small open field perfect for a home site or hobby farm,
and beautiful mature woods for extra seclusion. The property has already been
perked and surveyed (see attachments for documents)
There is frontage on Cart Dr, a
private road, and seller financing makes ownership easy and flexible for
qualified buyers. Enjoy the peace and tranquility of country living with room
to build, garden, explore, or create your very own North Carolina retreat.
Perfect for buyers searching for:
- Large acreage with a creek for sale in the Piedmont
- Build-ready land with trails in Rockingham County
- Country property with seller financing options
- Recreational, residential, or investment land in
Reidsville, NC
Don’t miss this rare chance—large,
diverse properties like this are hard to find. Act now to own premium North
Carolina country acreage with water, woods, and open land—ready for your dream
build or outdoor adventures!
PROPERTY HIGHLIGHTS:
| Private And Secluded | Seller Financing Available | No Restrictions | Owner Financing | |
| Wildlife, Deer, ETC | Matthew Peachey 704-433-2395 | Hunting | Timberland Property | |
| Land For Sale In Reidsville NC | 13.22 Acres For Sale | Land for Sale |















