Property Description
Home Lot 153, .15 Acres in the Kings Point Cove Resort Community with The Hideout Golf Course at Lake Brownwood, TX
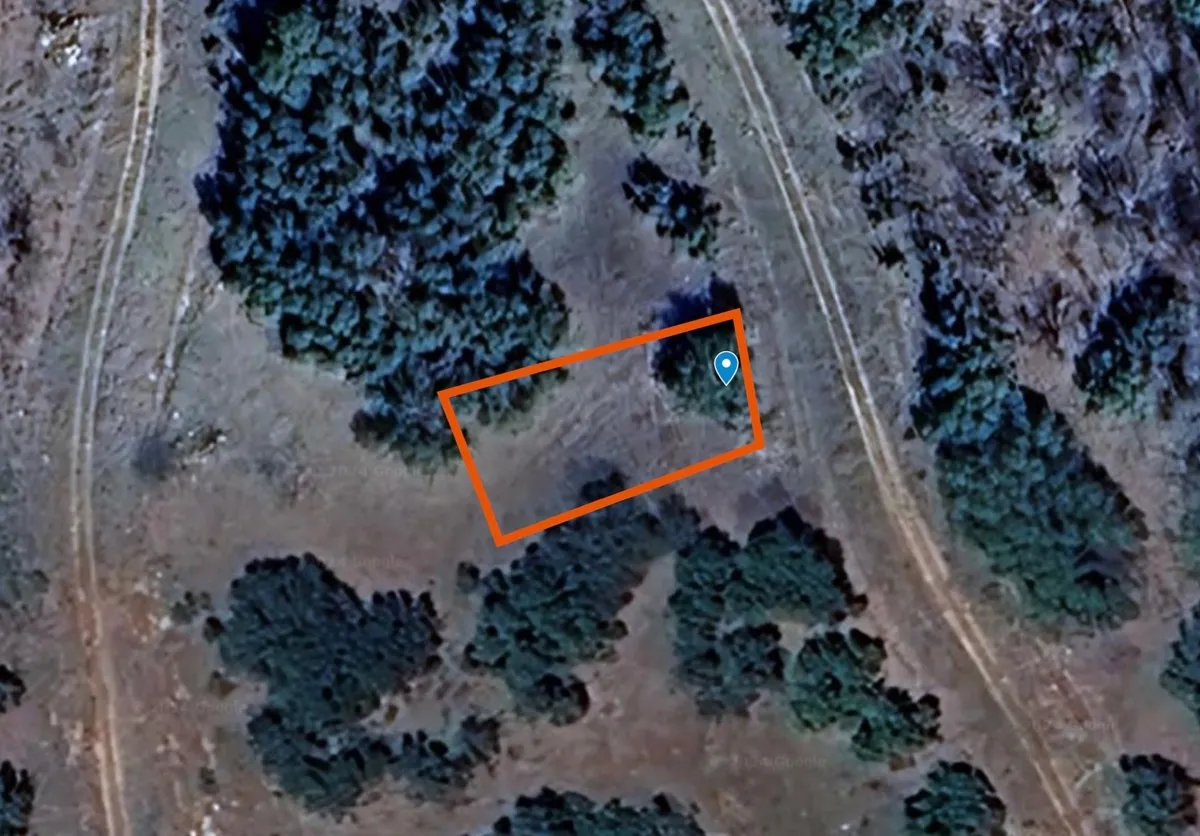
Interior lot 153 on Amy Drive in the Kings Point Cove Resort Community is a nice size lot and is a great investment. This is a prime real estate lot for sale is close to Lake Brownwood in Central Texas. This interior lot is located in an undeveloped part of the subdivision. The property, with approximately 52 feet of road frontage, is fairly level, and located in the beautiful resort community of King’s Point Cove and the Hideout Golf Club. Utilities are currently unavailable. It is a perfect property to invest in to enjoy all of the amenities The Hideout offers.
Ownership of this property includes 4 free rounds of golf each month on the 18-hole Championship Hideout Golf Course, reduced rates for the RV Park, cabins, and ranch house. And unlimited access to multiple amenities including: two pools, hot tub, two playgrounds, sand volleyball court, driving range, putting green, fishing pond, resort lodge, restaurant, and more. Plus, a private community boat dock on Lake Brownwood is planned, giving you access to even more outdoor activities!
Clubhouse and Amenities:
The clubhouse at Kings Point Cove Resort Community is the central hub for residents and offers a wide range of amenities for a luxurious and fulfilling lifestyle. Whether you’re looking to relax, socialize, or engage in recreational activities, the clubhouse has something for everyone.
Within the clubhouse, you’ll find spacious gathering areas, comfortable seating, and a welcoming atmosphere. It serves as a social gathering place where residents can connect with neighbors and build lasting friendships. The clubhouse also hosts various community events and activities throughout the year, providing opportunities for entertainment and community involvement.
In addition to the clubhouse, the resort community offers numerous amenities to enhance your living experience. These include:
1. Two pools: Take a refreshing dip in the resort-style pools on hot summer days, perfect for lounging and soaking up the sun.
2. Hot tub: Unwind and relax in the hot tub, offering a soothing experience to melt away stress.
3. Two playgrounds: Let children’s imagination run wild in the playgrounds designed for fun and adventure.
4. Sand volleyball court: Engage in friendly competitions or join a game of volleyball on the community’s sand court.
5. Driving range and putting green: Practice your swing and improve your golf skills with the driving range and putting green facilities.
6. Fishing pond: Enjoy leisurely fishing moments in the community’s fishing pond, ideal for anglers of all skill levels.
7. Resort lodge and restaurant: Experience exceptional dining options and enjoy the convenience of a resort lodge within the community.
8. RV park and cabins: If you have guests or are looking for additional accommodations, the community offers an RV park and cabins for comfortable stays.
9. Private community boat dock: Soon, you’ll have access to a private community boat dock on Lake Brownwood, expanding your outdoor activities to include boating, water sports, and fishing on the lake.
The Kings Point Cove Resort Community clubhouse and amenities provide a wealth of opportunities for relaxation, recreation, and socializing. It’s an idyllic setting to create lasting memories and enjoy a vibrant lifestyle.
The Hideout Golf Course:
The Hideout Golf Course is an 18-hole championship course located within the Kings Point Cove Resort Community near Lake Brownwood in Central Texas. Designed by renowned golf course architect Bill Johnston, the course offers a challenging yet enjoyable experience for golfers of all skill levels.
The course spans over 6,700 yards and features rolling hills, mature trees, and beautiful water features. Golfers can expect to encounter strategic bunkers, challenging water hazards, and well-manicured greens and fairways throughout the course.
In addition to its stunning natural beauty, the Hideout Golf Course also offers a range of amenities and services to enhance your golfing experience. These include a driving range, putting green, professional golf instruction, and a fully stocked pro shop.
As a property owner in Kings Point Cove, you’ll enjoy exclusive benefits such as 16 free rounds of golf each month on the Hideout Golf Course. Whether you’re a seasoned golfer or just starting out, the Hideout Golf Course is sure to impress with its challenging layout, stunning views, and top-notch facilities.
Don’t miss out on the opportunity to experience the best of golfing in Central Texas. Recently the course is now managed by the Troon Advantage Group which provides preferred rates at domestic and international golf destinations.
Lake Brownwood:
Lake Brownwood is a 7,300-acre reservoir created by damming Pecan Bayou, a tributary of the Colorado River. The lake is surrounded by stunning natural beauty and offers a wide variety of recreational opportunities for residents and visitors alike.
Fishing enthusiasts will be delighted to know that Lake Brownwood is home to a diverse range of fish species, including Large Mouth Bass, Small Mouth Bass, White Bass, Stripers, White Crappie, Yellow Cat, Flathead Cat, Perch, and Gar. Whether you prefer to fish from the shore or from a boat, this lake is sure to provide you with a thrilling angling experience.
For those seeking outdoor adventures, Lake Brownwood is the perfect destination. Boating, water skiing, and jet skiing are popular activities on the lake, and several boat ramps and marinas are available for easy access. Additionally, the lake’s beautiful shoreline offers plenty of opportunities for hiking, camping, and picnicking.
If you’re looking for a place to call home near Lake Brownwood, consider the Kings Point Cove subdivision. This stunning community adjoins the lake and offers residents easy access to all the lake’s recreational activities. Don’t miss out on the opportunity to experience the natural beauty and outdoor adventures that Lake Brownwood has to offer!
Brownwood, TX:
Brownwood, Texas, is a charming city nestled in the heart of Central Texas. Known for its warm hospitality and small-town charm, Brownwood offers a rich blend of history, natural beauty, and a thriving community spirit. With its picturesque downtown area lined with historic buildings and quaint shops, residents and visitors alike can enjoy leisurely strolls, discovering unique boutiques, cozy cafes, and vibrant local restaurants. The city also hosts a variety of cultural events and festivals throughout the year, showcasing its vibrant arts scene and celebrating its heritage. With its friendly atmosphere and close-knit community, Brownwood is truly a hidden gem in the Lone Star State.
Sales Proposal:
Don’t miss out on the chance to own prime real estate in the Kings Point Cove resort. Situated close to the shores of Lake Brownwood and The Hideout Golf Course, this parcel of land is ideal to invest in to enjoy all the amenities at The Hideout. Embrace the opportunity to own a piece of paradise within the Kings Point Cove Resort Community at Lake Brownwood. Priced at just $14,000, this property provides access to a host of exclusive amenities, including a clubhouse, pools, playgrounds, golf course, and a forthcoming private community boat dock. Revel in the natural splendor and recreational offerings of Lake Brownwood and the charming town of Brownwood, TX.
To learn more or schedule a viewing, please reach out to Doug Allen, Real Estate Broker, at 325-647-3254. Discover firsthand why this property is the perfect place to invest in! Listing #42165-53927. United Country Heart of Texas Real Estate. MLS #20672408
PROPERTY HIGHLIGHTS:
| Interior Lot | Resort Community | Club House and Pool | Land for Sale | |
| Nice Trees | RV Parking | Near Lake Brownwood | Recreational Property | |
| Golf Included | Cabins | Golf Property | Resort Property |

































