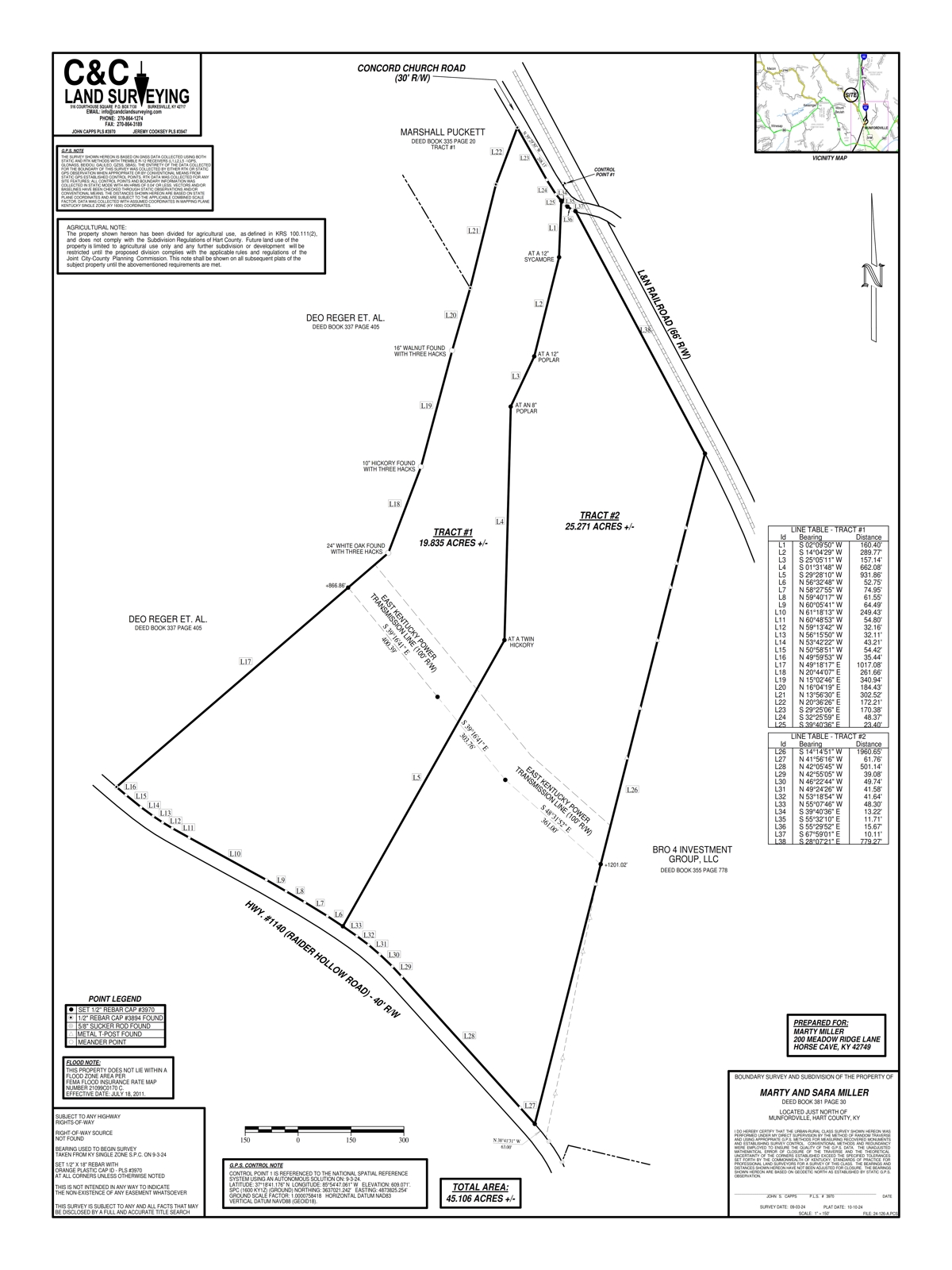
Property Description
Summary: Woods, views, hunting, building sites,
ATV trails, one mile from Munfordville and I-65 access. Frontage on two roads. This
tract consists of 25.3 acres. An adjoining tract is available.
Land: This beautiful, wooded land fronts on
Concord Church Road, then rises up about 200’ to a ridge, which is also a
cleared transmission line easement, and then goes down the other side to front
on Raider Hollow Road. Logging roads have opened up access to all parts of this
property. There are multiple level building sites available. Great views from
the ridge add value to this parcel.
Location: This property is located in a rural
country setting, but only a mile or two from Munfordville and an I-65 access.
Utilities: The internet is available from SCRTC. Power
is available from Farmers RECC. Water is available from the Green River Valley
Water District.
Restrictions: There is a small building department
and no zoning in this county. There are no use restrictions in the deed.
Terrain: The topography consists of level
land along Concord Church Road, then rising up about 200’ to a relatively flat,
usable ridge, then drops down about 200’ to some level land, and then a small
further drop to front on Raider Hollow Road.
Hunting and Wildlife: There is an
abundance of every kind of native wildlife in the area.
Recreational Lakes: In adjoining counties, many fishing
and recreational lakes and rivers can be easily reached. Examples are: Green
River Lake, Dale Hollow Lake, Barren River Lake, Cumberland Lake and River, and
Nolin Lake.
Listing Agent: Please call John F. Charles at
502-331-9147 for a tour of this beautiful, unique property.
PROPERTY FEATURES:
Building Sites
Land for Sale
Views
ATV Trails
Near I-65
Hunting
Land for Sale
Recreational Property






























