Property Description
Incredible Potential and Vast Possibilities: Your 10-Acre Texas Paradise Awaits!
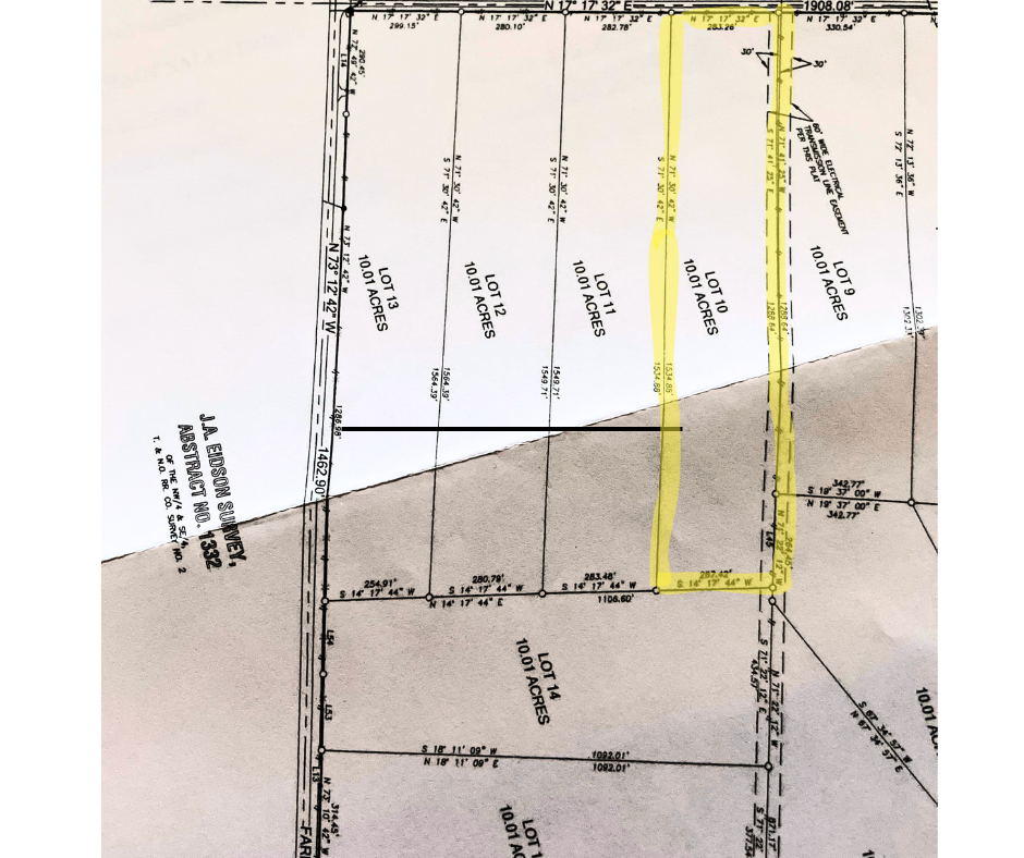
Your 10-Acre Texas Retreat Awaits Jonesboro Texas 76538 Discover the ultimate canvas for your dreams with this incredible 10-acre property. With no restrictions or HAO, your imagination can run wild. Whether you envision building your dream home, establishing a ranch, or crafting your own private retreat, this property provides the freedom to bring your vision to life. Electric has been installed on the road.
The wide-open spaces and serene natural beauty make this land the ideal opportunity to create your own Texas paradise. Perfect for outdoor enthusiasts, hobby farmers, or anyone seeking privacy and tranquility, this property is ready to accommodate a variety of uses. You can design and build your ideal home, raise livestock, or start a garden. Make it yours and enjoy the peace and quiet of country living. Conveniently located with access to nearby amenities yet far enough away to enjoy the seclusion of rural life, this property is the perfect balance of practicality and potential.
Key Highlights:
10 acres of wide-open, unrestricted land in Jonesboro, Tx 76538
No HOA, providing freedom to build and use the land as you choose
Ideal for building a dream home, ranching, farming, or a private retreat
Ample space for outdoor activities, gardening, or raising livestock
Located near modern amenities while maintaining rural privacy
PROPERTY FEATURES:
land in texas
jonesboro tx
land for sale
HAMILTION COUNTY
land in hamilton county
for sale texas
for sale jonesboro tx
land for sale
Land for Sale
Recreational Property
Retirement & Active Adult
Military
Investment & Income
        

















