Property Description
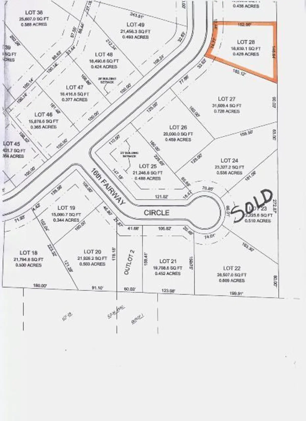
Connecting directly to the Viroqua Hills golf course, this lot is located in Crossing Meadows Subdivision – Viroquas newest and most complete subdivision and comes with city sewer and water, electric, natural gas, cable and telephone. The streets are paved and the curbs and gutters are in place. Lot 28 is .428 acres and is zoned for the building of a private home. Crossing Meadows Subdivision is located right at the city limits giving a country experience with a close proximity to downtown Viroqua and its quality schools and healthcare systems, shopping, businesses, recreation and well known farmers market. What makes Crossing Meadows even more spectacular is that it borders the Viroqua Hills Golf Course and has golf cart access for each property owner. Protective covenants are in place to protect your investment and ensure each home is built to certain specifications.
Contact Dan Kiedinger for a private showing: Call or Text 608.606.5344 (c) email: dan@oakwoodrealty.com
Are you looking to buy a property and are wondering what your home is worth? Click here for a free instant onscreen evaluation.
PROPERTY FEATURES:
| Directly Adjoins Golf Course | Electric, Telephone, Cable | Restrictive Covenants | ||
| Surveyed Building Lot .428 Ac. | Paved Roads, Curb And Gutter | Golf Property | ||
| Municipal Sewer And Water | Country Feel & Close To Town | Land for Sale |










