Property Description
Prime .39-Acre Lot with Stunning Downtown Views – Nichols Drive, West Plains, MO
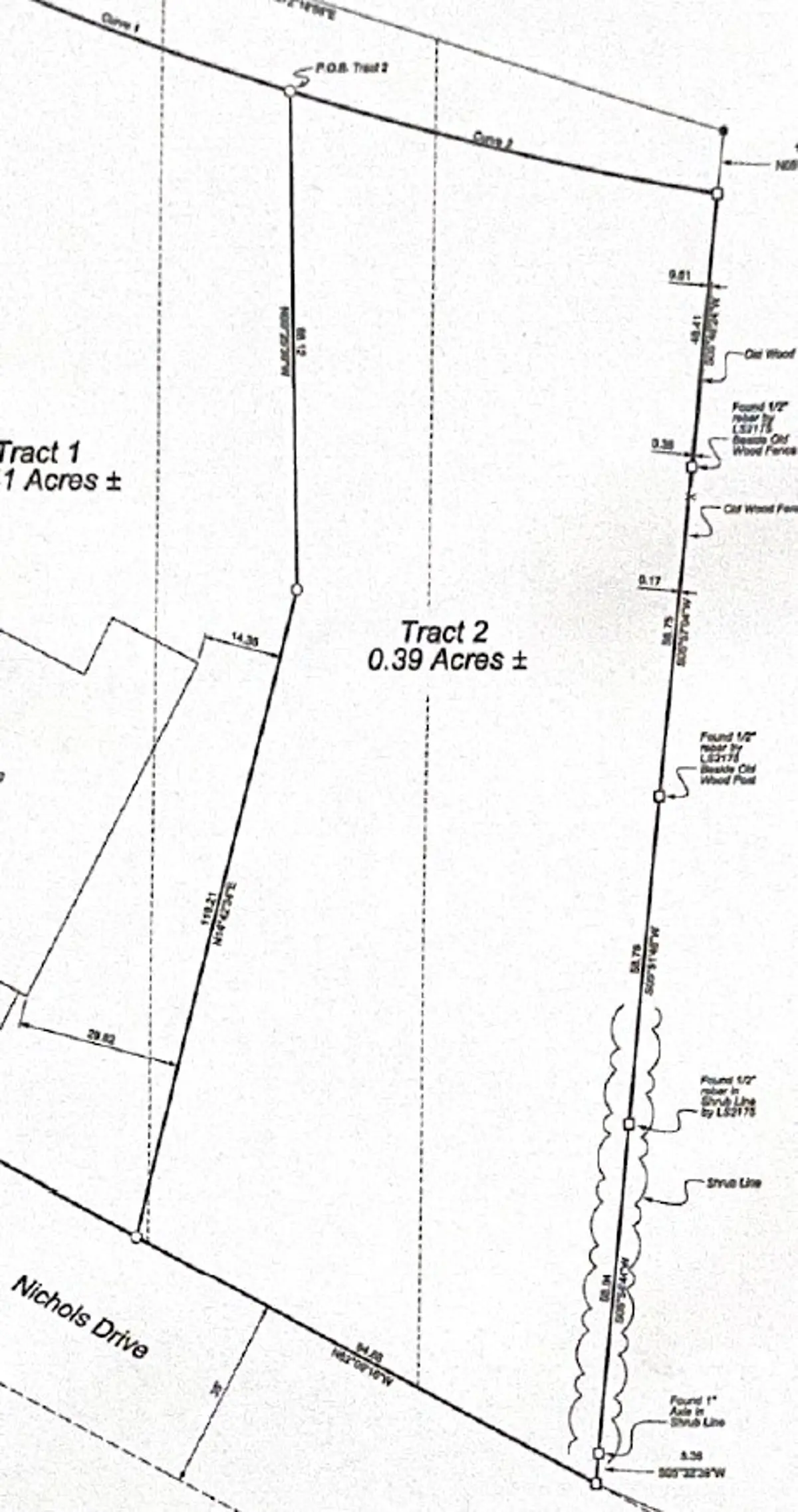
Located on one of the most beautiful streets in West Plains, this .39-acre lot on Nichols Drive offers incredible views of downtown and an ideal setting for your dream home. With a gentle slope perfect for a walkout basement, this property combines beauty, convenience, and accessibility.
Exceptional Location & Nearby Amenities:
West Plains School District – Located in the highly regarded school district, ensuring quality education opportunities.
Close to Downtown & Courthouse Square – Just minutes from the county seat of Howell County, offering easy access to local businesses, restaurants, and community events.
Missouri State University-West Plains – A short drive to the campus, providing educational programs, cultural events, and entertainment.
West Plains Civic Center – Nearby venue featuring concerts, expos, fitness facilities, an indoor pool, and an arena for a variety of community activities.
Shopping & Dining – Conveniently close to retail stores, boutiques, and a variety of local and national restaurants.
Healthcare & Services – Just minutes from Ozarks Healthcare, ensuring quick access to top-tier medical facilities.
Build Your Dream Home in a Premier Location!
With its stunning views, ideal topography for a walkout basement, and unbeatable location, this lot is a rare opportunity to own a piece of one of the most sought-after streets in town.
Call today for more information!
PROPERTY HIGHLIGHTS:
| Ozarks Residential Property | Howell County Lot in Town | Howell County Residential Land | Home in Town | |
| West Plains, MO Home Site | So. Central MO Home Sites | West Plains MO Lot in Town | ||
| Residential Lot in the Ozarks | South Central Missouri Ozarks | Land for Sale |






