Description
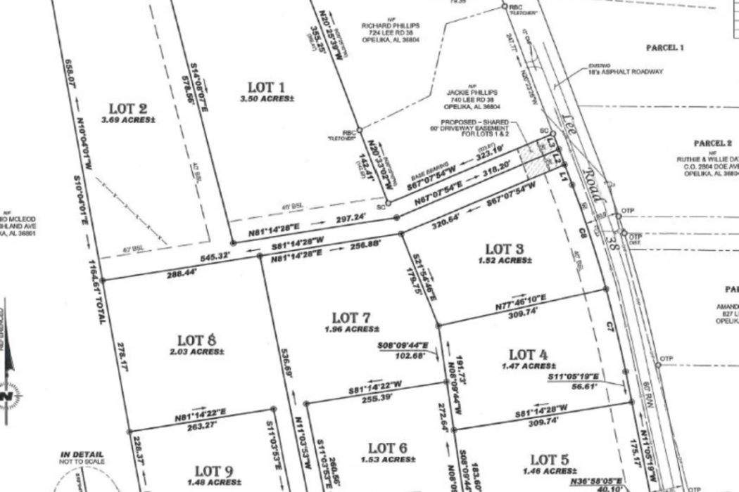
Do you need a good location to put a new home on in Beauregard? Here are some wooded tracts on Lee Road 38 and 39 that are just 5-8 minutes from Beauregard Elementary and High School. Ranging in size from 1.5 acres to over 3.5 acres, you’re also only 15 minutes from downtown Auburn or Tiger Town in Opelika. Water and power are on the road with no restrictions on this property. A couple of the lots also have septic systems on-site.
PROPERTY FEATURES:
Beauregard Alabama
Opelika Alabama
Auburn Alabama
Lot for Sale
Auburn University
Land for Sale
Lee County Alabama
Country Homes
Investment & Income
Land for Sale



