Property Description
Prime 1.01 Acre Highway Frontage Property in North Central Arkansas – No Restrictions!
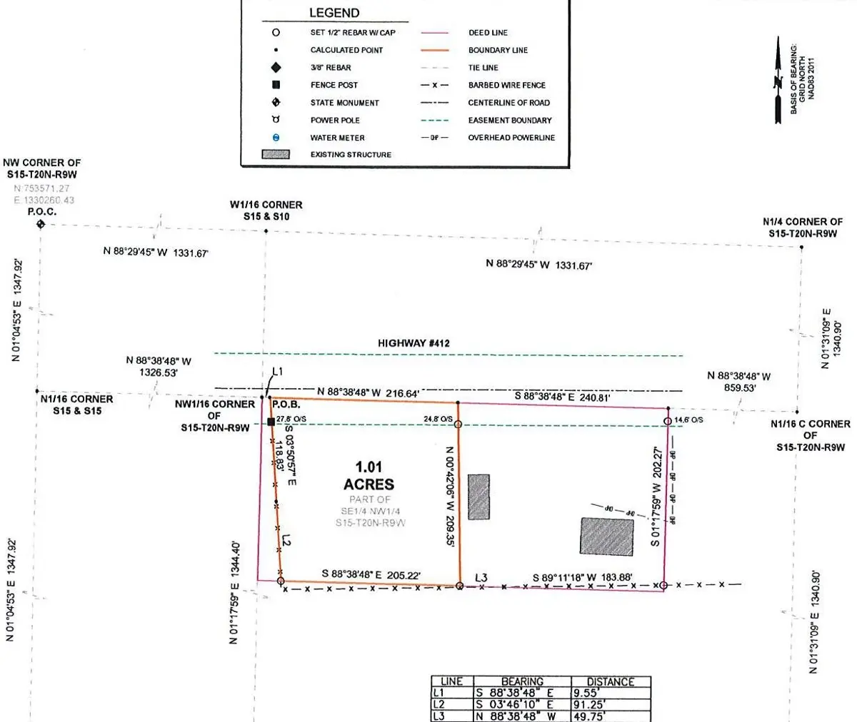
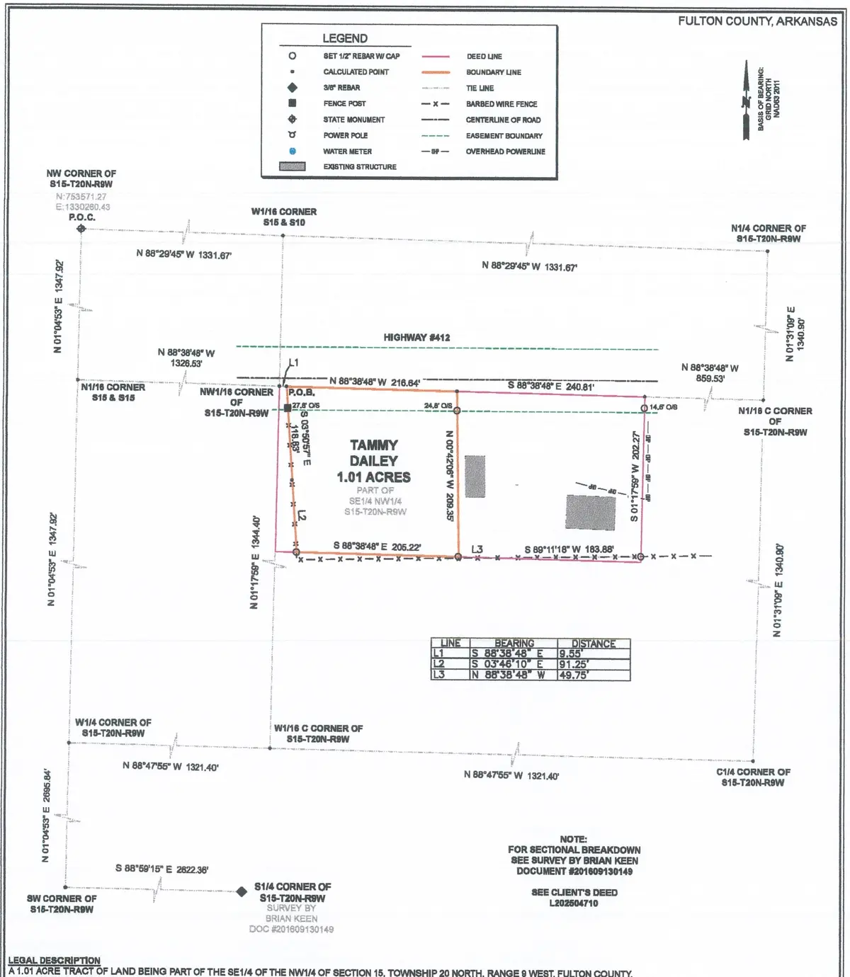
Looking for the perfect spot to build a home, start a business, or invest in land in beautiful Fulton County? This 1.01 surveyed acre property in the beautiful Ozarks offers incredible visibility and flexibility with 217 feet of highway frontage on busy U.S. Highway 62/412.
This property features no restrictions, giving you the freedom to build a business, RV setup, or investment property. Utilities are already available, including county water, NAEC electric, and high-speed internet, making it ready for development.
Located in a growing area of Fulton County, this tract combines excellent highway exposure with rural Ozarks beauty.
Property Highlights
1.01 Surveyed Acres
217 Ft of Highway Frontage
Located on U.S. Highway 62/412
No Restrictions
County Water Available
NAEC Electric
High-Speed Internet
Ideal for Home, Business, Storefront, or Investment
Beautiful North Central Arkansas / Ozarks Region
PROPERTY HIGHLIGHTS:
| Hwy frontage | Survey on file | Burdetta 870-371-0001 | Land for Sale | |
| Viola AR | High Traffic Highway | Commercial Property | ||
| No Restrictions | Commerical/Residential | Investment & Income |


















