Property Description
*ASK ABOUT OWNER FINANCING AVAILABLE ON THIS PROPERTY*
20% DOWN -10 YEARS- 6% INTEREST
Southeastern Oklahoma Farmette Property w/ Large Pond & Building Site for Sale Sardis Lake, OK ; Cupco Estates Tract #2 of four tracts for sale has 7.26 Acres of Latimer County Land with access off of paved Cupco Road with electricity installed & rural water available. Property is located on SE 250th Cupco Road Tuskahoma, OK 74574.
This Land would be a perfect place to build a Barndominium, Farm House Retirement Home, Vacation Income Cabin or a Farmette Property of your Dreams.
FARMETTE: A SMALL AREA OF LAND USED FOR BACKYARD ANIMALS WITH A GARDEN; A HOBBY FARM OR COUNTRY HOME THAT SERVES AS AN LIFESTYLE NOT A MAIN SOURCE OF INCOME.
If you are looking for a simpler life style and wont to leave the hustle of the big city behind this is your property on the shores of Lake Sardis joins the U.S. Army Corps Engineer land near the Community of Yanish. Also if you wont more land there is ajoining tracts available. You can drive your ATV down and fish off of the Buffalo Creek Bridge Sardis Lake.
Tract #1 8.16 Acres- $129,500 joins corps land at back, large hardwoods, joins Cupco Church property, nice building tract.
Tract #2 7.26 Acres- $139,500 large deep pond, hardwood trees, joins corps land at back, beautiful building site overlooking pond.
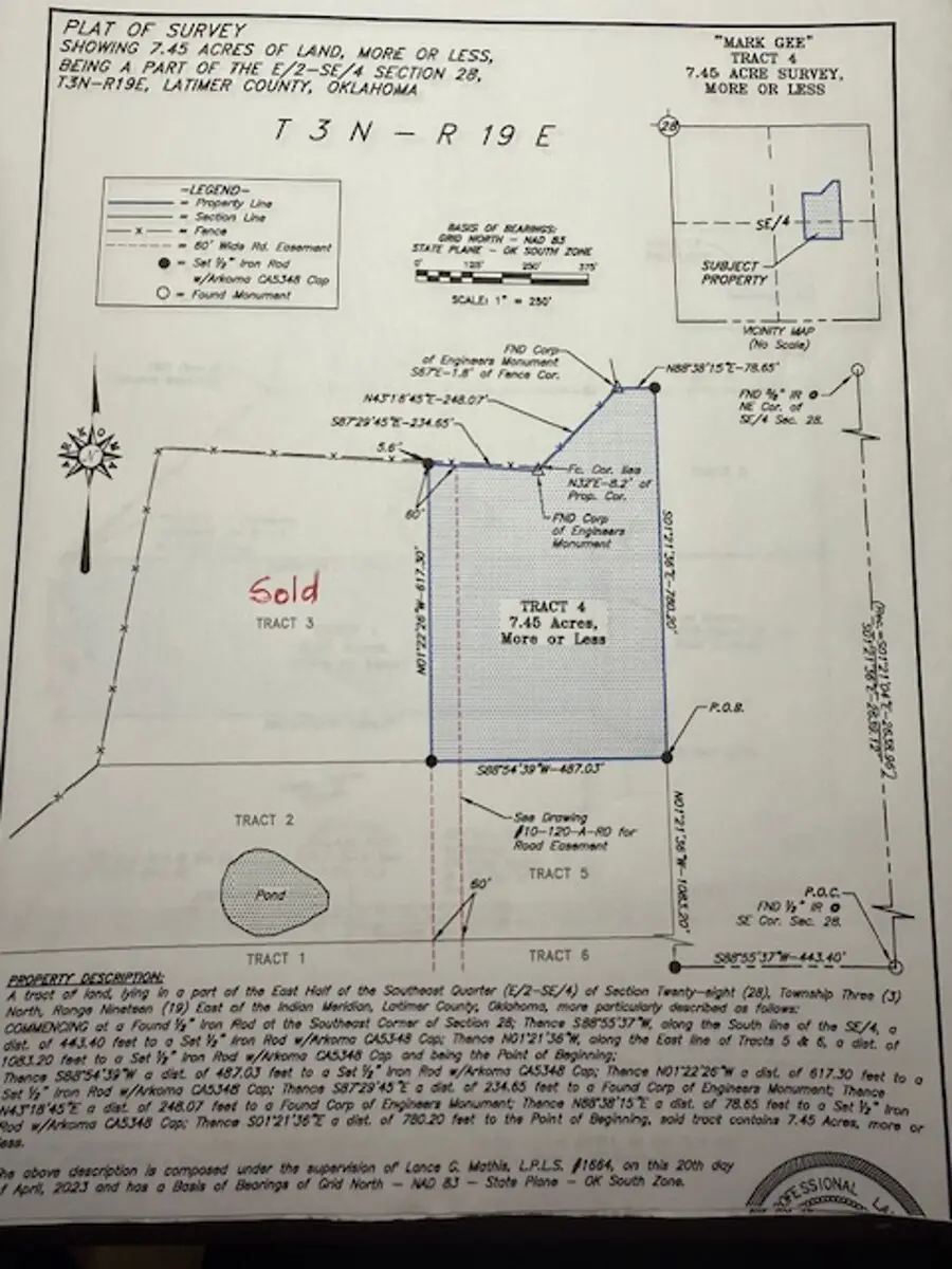
Tract #4 7.45 Acres & #5 3.98 Acres total Acres 11.43 -$149,500 selling together, seasonal creek, large hardwoods, joins corps land at back.
Tract # 6 8.12 Acres- $159,500 beautiful home site, paved Cupco Road frontage, private drive, mountain views.
Contact Owner Agents Mark & Sherry Gee for more Information and the specifics of this Land for Sale in Southeastern Oklahoma & Latimer County.
PROPERTY HIGHLIGHTS:
| Property for Sale Sardis Lake | Land for Sale Tuskahoma OK | Land for Sale Clayton Oklahoma | Land for Sale | Recreational Property |
| Land for Sale Latimer County | Southeastern Oklahoma Land | Earmette Property for Sale OK | Lakefront Property | |
| Sardis Lake Property for Sale | Land for Sale Owner Financing | Country Homes | Mountain Property |




















