Property Description
Riverfront Lot in Cherokee Village
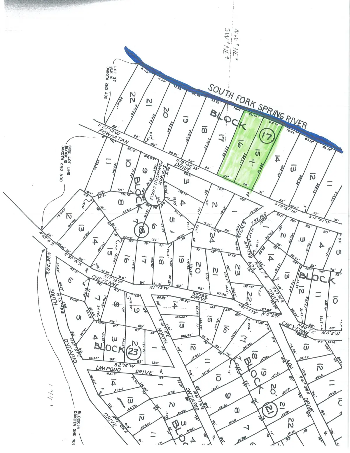
Discover this wooded riverfront lot on the South Fork of the Spring River in Cherokee Village, Arkansas, offering approximately 150 feet of river frontage and a peaceful setting in the heart of the Ozarks. This property provides the perfect opportunity to build your dream home or weekend retreat surrounded by natural beauty.
Wooded Lot with Hilltop Homesite
This 150×285 lot features a beautiful hilltop homesite overlooking the river, giving you the ability to enjoy elevated views while maintaining privacy. Mature timber and natural terrain create a quiet, secluded environment ideal for relaxation and outdoor living.
Build Your Ozarks River Retreat
Whether you’re looking for a vacation getaway or full-time residence, this property offers direct access to the lifestyle that makes Spring River Country so desirable. Spend your days enjoying kayaking, fishing, and the peaceful surroundings of North Arkansas.
Spring River Country Location
Located in Cherokee Village, Arkansas, this property is part of one of North Arkansas’ most sought-after recreational areas. The South Fork of the Spring River is known for its scenic beauty and year-round enjoyment.
Nearby Lakes & Outdoor Recreation
In addition to river frontage, you’ll be close to multiple lakes including Lake Thunderbird, Lake Sequoyah, Lake Cherokee, Lake Omaha, and Lake Sherwood, offering additional opportunities for boating, fishing, and outdoor recreation.
Arkansas River Property for Sale
Properties with river frontage in the Ozarks are becoming harder to find, especially at this price point. This lot offers a rare combination of location, natural beauty, and value.
Cherokee Village Land Opportunity
Priced at $35,000, this is an excellent opportunity to own riverfront land in Cherokee Village AR. Whether you’re planning to build now or invest for the future, this property is worth a look.
PROPERTY HIGHLIGHTS:
| Riverfront Lots in Arkansas | Waterfront Property in Ark | Spring River Lots For Sale | Riverfront Property | |
| South Fork Spring River Land | Sharp County AR Lot For Sale | Fishing | ||
| Arkansas Riverfront Property | Riverfront in Sharp County AR | Land for Sale |






